Ref. 004637
Terreny en venda a Escàs, situat en una zona urbanitzada i totalment consolidada, en un entorn residencial privilegiat i molt tranquil. Una oportunitat única per construir en un indret immillorable, amb excel·lents vistes al Casamanya i molt bona orientació al sol durant tot el dia.
El terreny és edificable per a 1 o 2 habitatges, ideal tant per a una casa unifamiliar com per a un petit projecte residencial.
Una oportunitat perfecta per viure envoltat de natura, amb tranquil·litat i unes vistes espectaculars. Parcel·la número 6.
Terreny en venda a Escàs, situat en una zona urbanitzada i totalment consolidada, en un entorn residencial privilegiat i molt tranquil. Una oportunitat única per construir en un indret immillorable, amb excel·lents vi...
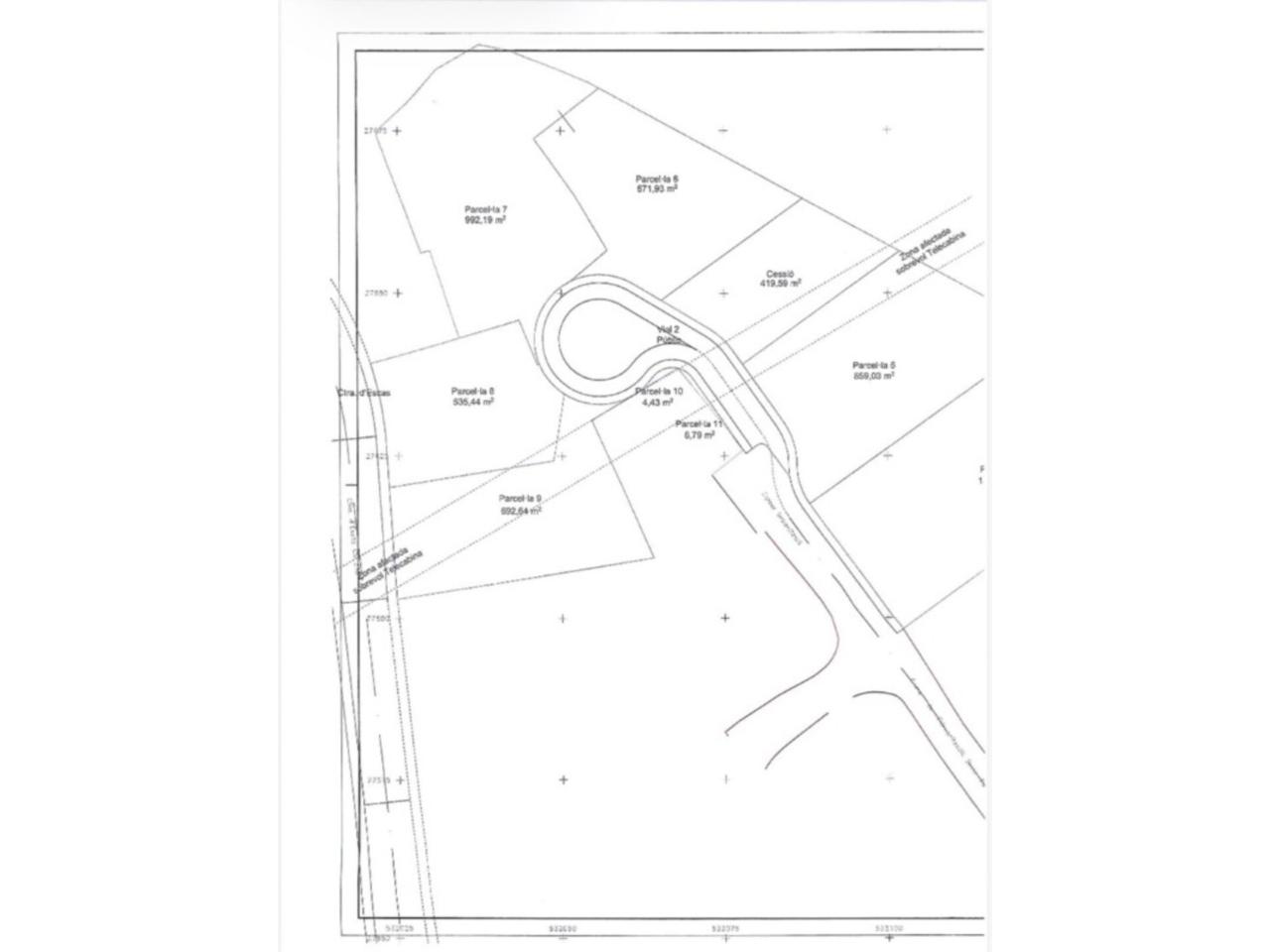
Terreny en venda a Escàs, situat en una zona urbanitzada i totalment consolidada, en un entorn residencial privilegiat i molt tranquil. Una oportunitat única per construir en un indret immillorable, amb excel·lents vistes al Casamanya i molt bona orientació al sol durant tot el dia.
El terreny és edificable per a 1 o 2 habitatges, ideal tant per a una casa unifamiliar com per a un petit projecte residencial.
Una oportunitat perfecta per viure envoltat de natura, amb tranquil·litat i unes vistes espectaculars. Parcel·la número 6.
Llegir més
|
Adapt. mob. reduïda |
|
|
Superficie solar |
671 m2
|